最新コメント

アーカイブ

削除 編集

庭の花アルバム(282)

【このテーマの説明】 PUTON 2009/03/01

2月も半ばに「Spring has come!」としてはじめたコーナですが、夏も盛りになったので「庭の花アルバム」に名前を改めました。あなたのお庭にはどんな花が咲いていますか? お便りをお待ちしてま〜す。

PUTON 2010/07/12

フウセンカズラに実がなりました。花も実も少しだけホオヅキに似ていますが、こちらの方が清楚な感じがします。

「あなたとともに旅立つ」という花言葉を持つフウセンカズラと、「鬼灯」とも綴り、毒性のあるホオヅキの違いがなんとはなしに、姿に表れているようです。

web拍手

PUTON 2010/07/03

庭の入り口に、フウセンカズラが小さな花を咲かせています。直径5mmにも満たない小さな花です。雨に濡れて瑞々しい姿に魅せられはするものの、薄暗い梅雨空の下で写真に納めるのはなかなかむずかしいですね。

フウセンカズラははじめて植えましたが、風船のような緑の袋が枯れると、中にハート型の実ができるそうです。このまま秋口まで育ってくれるといいな。

web拍手

PUTON 2010/07/03

朝から大雨の梅雨まっただなか、先週だったかに妻が購入したノボタンの鉢に大きな花が咲いていました。土砂降りの雨のなかに忽然と咲いた花、何を思うか、尋ねてみたい^^

開花期が長い花のようなので、梅雨が明けたら地植えにしようかな。

web拍手

PUTON 2010/06/29

お隣さんの庭先に咲いているとてもきれいな白花が眼に止まり、さっそくカメラに収めました。でも、調べども調べども名前がわかりません。三日が経過。ギブアップかと思ったところ・・・

「ハクチョウソウだって、白鳥」
「え、どうやって調べたの!」
「聞いただけ、お隣さんに」

そりゃそうだ。聞けば良かったんだ^^/ というわけで、あっけなく問題解決でした(笑)。でも、ハクチョウの正体が白蝶と知ったのはその後のことです。二人ともてっきり「白鳥」だと思ってました。

ただ、「モンシロチョウ」「キチョウ」「クロアゲハ」って名前はあるけど、「白」を音読みで「ハク」と読むのは例外じゃなかろうか・・・という疑問は解けぬまま^^。

web拍手

PUTON 2010/06/29

岡山に住んでいると、どうも麺類はソバよりうどんと思ってしまいます。たぶんその延長で、ソバの花に馴染みがありません。よもや、庭や町内でソバの花など見ることはないだろうと思っていました。

それがです、なんといつもの散歩道にソバの花がそこかしこに咲いているのを見つけました。町内のみなさんが手がけている近くの菜園なのですが、そのいっかくに蕎麦の花が咲き乱れていました。

ただ、ご近所の方の話しでは、播種の時期を間違ったそうで、蕎麦粉にはできないとのこと。まあ、このあたりも、岡山感覚のようです^^

web拍手

PUTON 2010/06/26

今年も玄関先の、ツルニチニチソウの茂みのなかに、ギボウシが顔を覗けました。

ギボウシという名前は、仏教建築などの装飾を指す擬宝珠に由来しますが、その独特の形の総称として、カバンの留め金具、お風呂の栓の鎖を止める金具などの名前にも使われています。こちらの場合は、「ギボシ」と綴られることが多いようです。

web拍手

PUTON 2010/06/22

我が家のテッセンは、紫色の花もきれいですが、花が終わったあとのすがはまたいちだんと魅力的です。

枯れるとともに花の軸が金緑のワイヤーに姿を変え、針金が乾きほぐれて綿毛になります。6月の梅雨のころは、針金に生えはじめた小さな繊毛のせいで、雨の雫が粒となって止まります。

写真はそのいちシーンですが、眼に見えるようには撮れないのが残念です。

web拍手

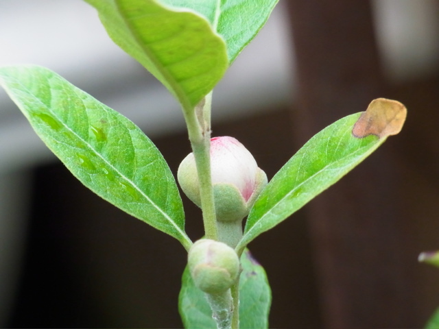
PUTON 2010/06/22

今年もフェイジョアに花が咲きました。写真右は蕾みです。

受粉してできた果実は、すごく甘くて美味しいみたいですね。でも、他の木から受粉しないと実がならないそうです。なので、いつも花を見るだけ。なんだか、もったいないな〜^^

デッキの上で移動できる程度の鉢で育てていますが、根元に穴を開けて有機肥料を加えたりしているせいか、今年はたくさんの花が付きました。できれば、地植えにしたやりたいと思っていいます。

web拍手

PUTON 2010/06/08

庭にミニバラが咲きました。鉢で買ったものか、いただきものか、いまとしては由来はわかりませんが、しっかりと根付いたようです。

深紅のバラって、あらためて写真に撮ろうとすると、なかなか難しいなあ。赤色が飽和ぎみです。時刻によって、かなり違った印象の写真になりました。

web拍手

PUTON 2010/06/02

庭の片隅にカラーが咲きました。いつもはデッキにしつらえた小さなビオトープに咲きますが、なんで此処に???

「ご近所でいただいた土と植物の塊を、そのまま埋めたの。そしたらね、次々に花が咲いてきたの。不思議だわ〜」

とは妻の弁。不思議そうにいうことではないと思うけど^^

web拍手

ショートストーリー

関連サイト

wwwを検索
www.ios-garden.com を検索
利用規約
Copyright 2009 Nakashima Propeller Co., Ltd. All Rights Reserved.